一覧に戻る

坂戸市泉町3丁目 中古戸建 成約済み

 2026年02月21日時点

成約済み

外観写真

外観写真

間取り図

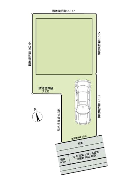
区画図

リビングダイニング

リビングダイニング

キッチン

書斎

洗面化粧台

洋室

洋室

浴室

価格 ---万円
住所・最寄り駅 坂戸市泉町3丁目
東武東上線 北坂戸駅 徒歩17分
間取り/間取り詳細 2SLDK  LDK20.9帖 / 洋室12.38帖 / 洋室5.44帖 / S4.88帖 / その他3.75帖 築年月 2024年3月
建物面積/土地面積 99.46㎡/111.8㎡ 階数 地上2階

坂戸市泉町3丁目 中古戸建 成約済みのPRポイント


設備・条件

  • 平坦地

  • 前道6m以上

  • 南道路

  • 駐車場あり

  • サービスルーム(納戸)

  • リビングダイニング15畳以上

  • リビングに階段あり

  • 対面キッチン

  • バス・トイレ別

  • 洗濯機置き場

  • 独立洗面台

  • バルコニー

  • クローゼットシューズボックス

  • フローリング

坂戸市泉町3丁目 中古戸建 成約済みの物件概要

住所 坂戸市泉町3丁目
交通機関 東武東上線 北坂戸駅 徒歩17分
間取り/間取り詳細 2SLDK / LDK20.9帖 / 洋室12.38帖 / 洋室5.44帖 / S4.88帖 / その他3.75帖
建物面積 99.46㎡ 土地面積 111.8㎡
計測方法
主要採光面 建物構造 木造
都市計画 市街化区域
階数 地上2階 築年月 2024年3月
築年月備考
設備・条件 平坦地/前道6m以上/南道路/駐車場あり/サービスルーム(納戸)/リビングダイニング15畳以上/リビングに階段あり/対面キッチン/バス・トイレ別/洗濯機置き場/独立洗面台/バルコニー/クローゼットシューズボックス/フローリング/
水道 公営水道・公共下水 ガス 都市ガス
土地権利 所有権のみ セットバック
接道状況 一方
接道1 南側 公道 幅員9.3m
地目 宅地 用途地域 第一種住居地域
建ぺい率 60% 容積率 200%
引渡 相談 地勢
現況 空家 国土法届出
取引形態 仲介 物件管理コード 2026020505
備考・特記事項 図面と現況に相違がある場合、現況優先とします。
問い合わせ先 東上住宅 株式会社 電話番号 049-250-5555
建築確認番号